徐州市教育局出资,投资2个亿!西区这所高品质中学即将动工 ...

12月14日,徐州市第三十七中学新校区(桃花源高级中学)项目发布招标公告!
徐州市第三十七中学新校区暨桃花源高级中学按照16轨48班的办学规模建设,可容纳约2400名学生。


hXSf44zfTkZXyyUR.jpg



loV045s7KB70424c.jpg

NLKmMLVyg5Vypx14.jpg



桃花源高级中学效果图



为什么说桃花源高级中学未来会是一所高品质中学?仔细阅读该则招标公告,有3个亮点:


1、徐州市教育局出资 ,建设资金来自财政拨付 ,项目出资比例为 100% 。


2、总建筑面积63631.27平方米,投资 20000万元(2亿)


3、建设工期500天,约一年半左右时间便可投入使用了.


首先就是这个徐州市教育局出资,而不是泉山区教育局出资。一般行政区内新建的学校,都是由该行政区出资,建设资金多为自筹。可是,此次桃花源高级中学就明显待遇不一般了。跳过了泉山区教育局,直接由徐州市教育局出资,且项目出资比例为 100% 。
对标前段时间发布招聘的徐州中学,同样的徐州市教育局出资,同样的全额拨款,印证了桃花源高级中学背景雄厚来头不小,同为市政府全力打造的一所高品质中学!和徐州中学应属于同一级别!


eO2a61zvIpu6M1sE.jpg

桃花源高级中学地址



其次,新校区将建设综合楼、教学楼、实验楼、电教网络楼、图书馆、艺术楼、体育活动中心、生活服务中心、学生宿舍楼、展馆、停车库等;还将按标准建设400米跑道田径场、室外篮球场、室外羽毛球场、室外乒乓球场、笼式足球场等运动场地。总建筑面积约6.3万方,投资2个亿,工期500天。
建设工期500天,也就是说自开工后约一年半时间,这所学校就可以投入使用了!
从建设规模来看,不可谓不大啊,实乃西区第一名校!


p13dTdEZwlT2da3E.jpg



此次三十七中新校区暨桃花源高级中学的建设,有利于缓解西区高中阶段教育需求的压力,科学配置教育资源,提高片区教育现代化水平,促进片区文化教育事业的发展,满足人民群众日益增长的教育需求。
除了桃花源高级中学外,西区还将新建一所小学和一所中学:
泉润小学(即将开工)
9月4日,泉润小学建设项目发布招标公告,总投资8000万,建设周期大约330天。这意味着这个西区小学即将开工建设,该小学的建设投入使用,为板块内配套再升级!
泉润小学位于徐商公路南侧,徐州生物工程学院西侧,泉盛美家小区北侧,占地58亩,建筑面积2.4万平方米,48班级。

nJj0jSj0kiS55dNx.jpg

EXT3V8oxXkIeXx3X.jpg

泉润小学位置

从图中位置可以看出,泉润小学紧挨着桃花源高级中学,也就是说徐州生物工程学院西侧将新建一所小学和一所中学,且都是公办,周边居民可是有福气了啊,小学中学一步到位了!


锦绣中学也将开建



F9COAV7f3SfVD8cR.jpg

近日

徐州市公共资源建设工程交易平台

公布了

泉山区锦绣中学项目施工招标公告



Eii5Z5Wivs7JMFOM.jpg



建设地点:徐州市泉山区新淮海西路北侧、小山路东侧、中意路南侧。建设规模:总建筑面积约总建筑面积约27626.27平方米,配套建设给排水、供电、消防、道路、绿化等附属设施;合同估算价:约11000万元工期要求: 270日历天
iXS0825zdoCx9tmL.jpg

 ▲泉山区锦绣中学项目总平面图



早在今年8月,徐州市自然资源和规划局发布了泉山区锦绣中学项目规划公示,根据工期来看,一旦开工建设,不到1年便可竣工建成,新建学校占地约56亩,办学规模初中10轨30班。
AnECuPGCR4vCcTIR.jpg

除了以上新建的几所学校,加之已有的星光小学荣盛城分校、少华街第三小学、新火花九年一贯制等优质学校,西区教育资源非常丰富。



近年来徐州不断新建学校

重点解决配套学位不足等问题

部分新建、扩建学校的最新情况

我们一起来看看吧


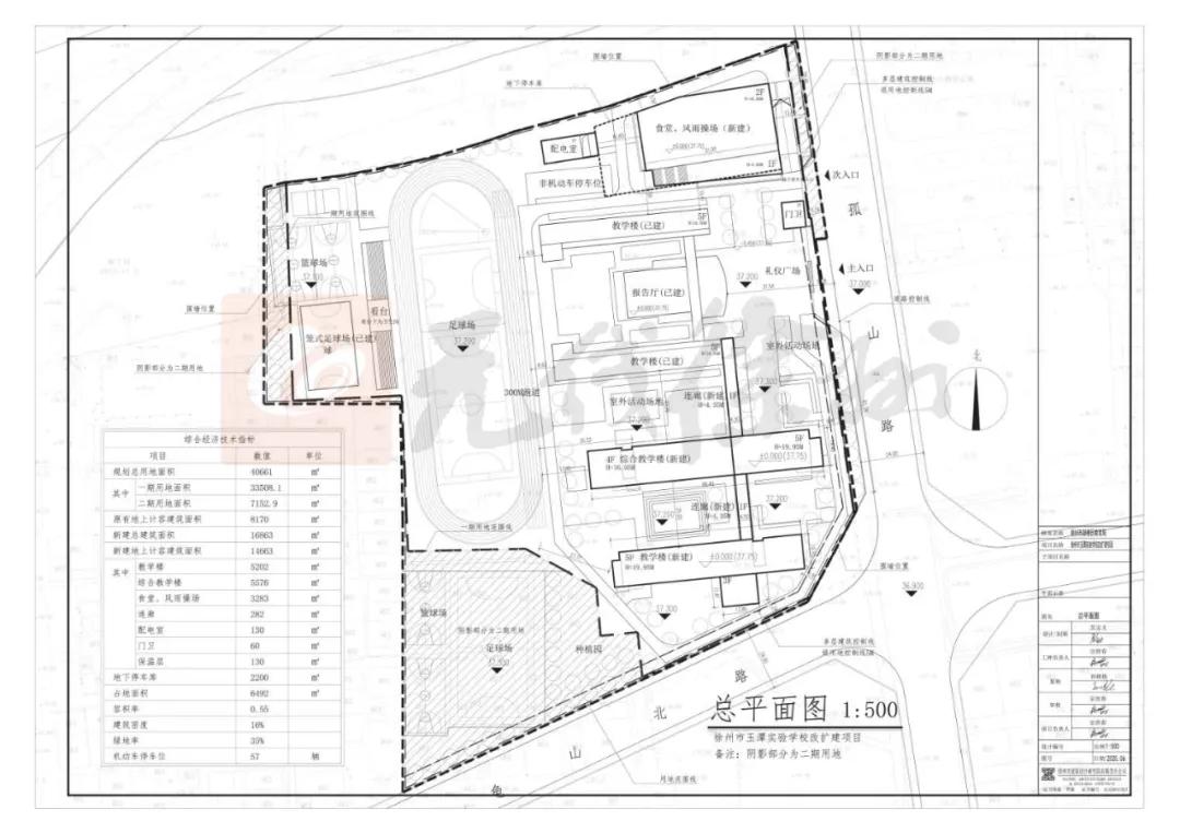
·玉潭实验学校改扩建
bcJSriRaTETpZRyh.jpg




建设地点:玉潭实验学校内建设规模:框架五层,改扩建面积约16863㎡合同估算价:约 7429.88万元工期要求:300 日历天
dgIyJVIlVwkZdJSg.jpg

玉潭实验学校改扩建:扩建计容建筑面积1.7万平方米及3000平方米人防地下室。现状5轨30个班,扩建到8轨48个班。建设普通教室、专用教室、辅助用房、餐厅及室内体育馆等。


·一中新城区校区二期
dz0Cb44M0c0uo0c9.jpg

一中新城区校区总体效果鸟瞰图



二期位置:新城区紫金路北、云台路南、一中新城区校区西。
占地约135亩,规划建筑面积8万平方米新建国际部 、功能教室、学生公寓等。办学规模高中16班、国际部8轨24班。
sBvwARRUBrvIAaBb.jpg

效果图



·三十六中迁建
ipg4P49tUwgAkWGp.jpg

效果图


位置:三十六中新校区建在三环南路以南、北京北路以东、京沪铁路以西的中石化管道储运公司院内南区货场的土地上。
占地150多亩,总建筑面积约10.8万平方米,总规划为容纳108个班级的12年一贯制公办学校。其中小学48班,初中24班,高中36班。
目前迁建工程项目所有建筑已全部封顶,2021年上半年装饰装修工程基本结束,计划2021年9月投入使用。


·徐州市西月河中学
hGFhVc7vauGVyYuB.jpg

效果图
规划总建筑面积为21928.3㎡,规划设计有教学楼、教师办公楼、报告厅、食堂、风雨操场等。办学规模初中12轨36班,建设年限:2020—2021,目前西月河中学项目规划已公示。


·兴北小学(一期)扩建
Qf76CYc6fuC6fSF6.jpg

效果图



复兴北路东侧、二环北路南侧,在建北小学原址拆除扩建1万平方米,规划用地43亩,办学规模6轨36班;一期用地15亩,建设规模4轨24班。


今后,大徐州将有更多学校投入使用教育资源也会越来越丰富
让我们一起期待更多校园早日建成!

加油!大徐州!



关注微信公众号:徐州师说

我们一起交流
19127 人阅读 · 2020-12-17 17:48:30 发表

使用道具 举报

评论(0)

高级模式

暂无回答,赶快抢沙发吧

0
0
快速回复 返回顶部 返回列表